Application Details

D1202218: this application was for an Extension of Draft Plan of Subdivision until March 2022 by Council on Monday, Jan 28, 2019. P2019-02
Owner: CONSAR-REDMAPLE INVESTMENT LTD
Agent: Alliance Homes, Alex Troop
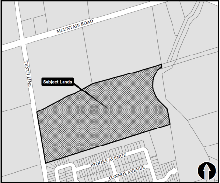
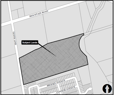
Location: 725 Tenth Line, 10th Line south of Mountain Road
Here is a link to the applicants application
Municipal Planner: Mark Bryan
Here is a link to the Planning Staff Report
The Red Maple Plan of Subdivision is draft approved for 278 units of the following dwelling types;
• 131 single detached dwellings,
• 56 “street” townhouse dwellings (freehold), and
• 91 townhouse dwellings (condominium).
The original Draft Plan approval was granted in March 2013 for 230 units. A subsequent “redline” revision was approved by the Town in November 2014 that increased that number to 278 units. The Town last granted an extension of the draft approval for this Plan of Subdivision in March 2016 and it will expire on March 25th, 2019. This application , D1202218 has been approved for an extension until March 25, 2022
Stay Informed, subscribe to our Town of Collingwood Portal for our Meeting Schedules

Planning Act Individuals who make written submissions with respect to a Planning Act application should be aware that their submission and any personal information in their correspondence will become part of the public record and made available to the Applicant, Committee and Council.
