Application Details

Project Name: Isowater Industrial Building
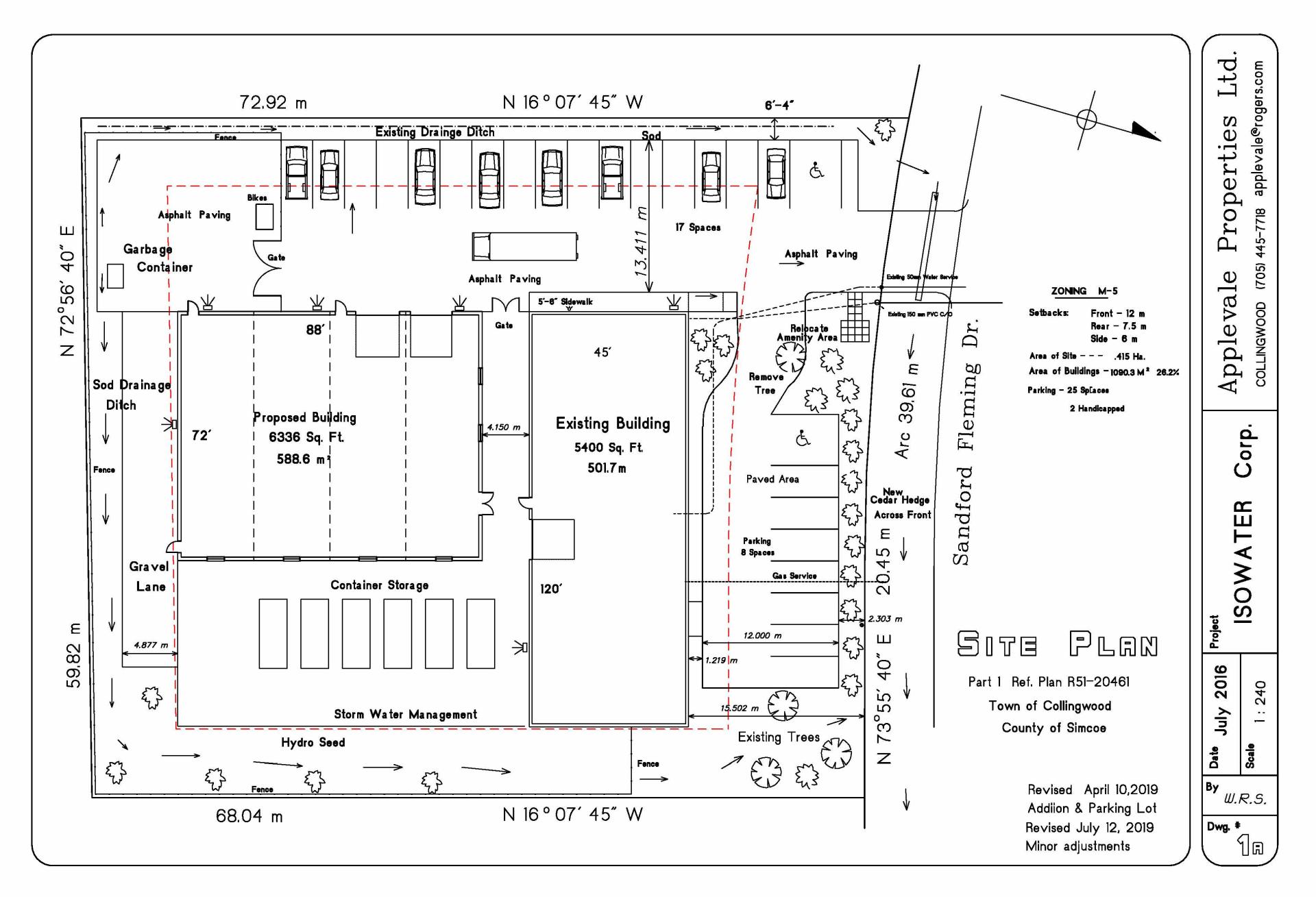
Civic Address: 40 Sandford Fleming Drive, Town of Collingwood
Owner: Applevale Properties Limited
Agent: Ray Smith
Submittal information from the developer: Contact Information for the Developer, the Application, the development plans, and the elevations of the building and site. Developer Reports and or Studies which are supplied in support of the application.
Municipal Planner: Kandas Bondarchuk
Project Description: This amendment proposes a new 6,336 sq. ft. building in the rear of the site, extension of the existing asphalt parking area, and grading/drainage modifications. The existing industrial building is a 5,400 sq. ft. for a heavy water processing facility which was processed in 2017 under D111117. A minor variance has also been submitted to reduce the front landscape buffer from 3.0 to 2.3 metres.

Comments The comments above are made to the best of our knowledge using all of the information and resources available at the posting time. The information contained herein is believed to be correct, however, the Town assumes no liability for negligence, inaccuracies or omissions. Please contact Planning Services at 705-445-1290. You are welcome to make a personal examination of the applicable information at Planning Services located at 55 Ste. Marie Street, Unit 302, Collingwood, Ontario. We are situated in the Municipal Offices on the 3rd floor of Collingwood Public Library.
Planning Act Individuals who make written submissions with respect to a Planning Act application should be aware that their submission and any personal information in their correspondence will become part of the public record and made available to the Applicant, Committee and Council.